:::

The humphead wrasse takes the stage: Research into fish species of South Penghu Marine National Park

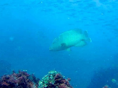
In 2017, the Marine National Park Headquarters commissioned a research team led by National Taiwan Ocean University professors Chen I-Shiung and Lee Ming-An to investigate the species of fish in South Penghu Marine National Park. Through diving, surveying the intertidal zone, and investigating the fishing industry, species of fish recorded in the area rose from 383 to 476, with 93 new recorded species. The research team also found an endangered species that hasn't been seen near Penghu for a long time, the humphead wrasse. The team also observed mangrove red snapper gathering to lay eggs in the area, highlighting the uniqueness of the marine species at South Penghu Marine National Park.

The research team also found an endangered species that hasn't been seen near Penghu for a long time
The research team also found an endangered
species that hasn't been seen near Penghu for a long time
The team also observed mangrove red snapper gathering to lay eggs in the area
The team also observed mangrove
red snapper gathering to lay eggs in the area